starsze
nowsze
1
1+
2-
2
2+
3-
3
3+
4-
4
4+
5-
5
5+
6-
6
oceń zdjęcie | skomentuj ocenę | 2 głosy | średnia głosów: 6

Polska woj. dolnośląskie Wrocław Huby ul. Hubska Hubska Center

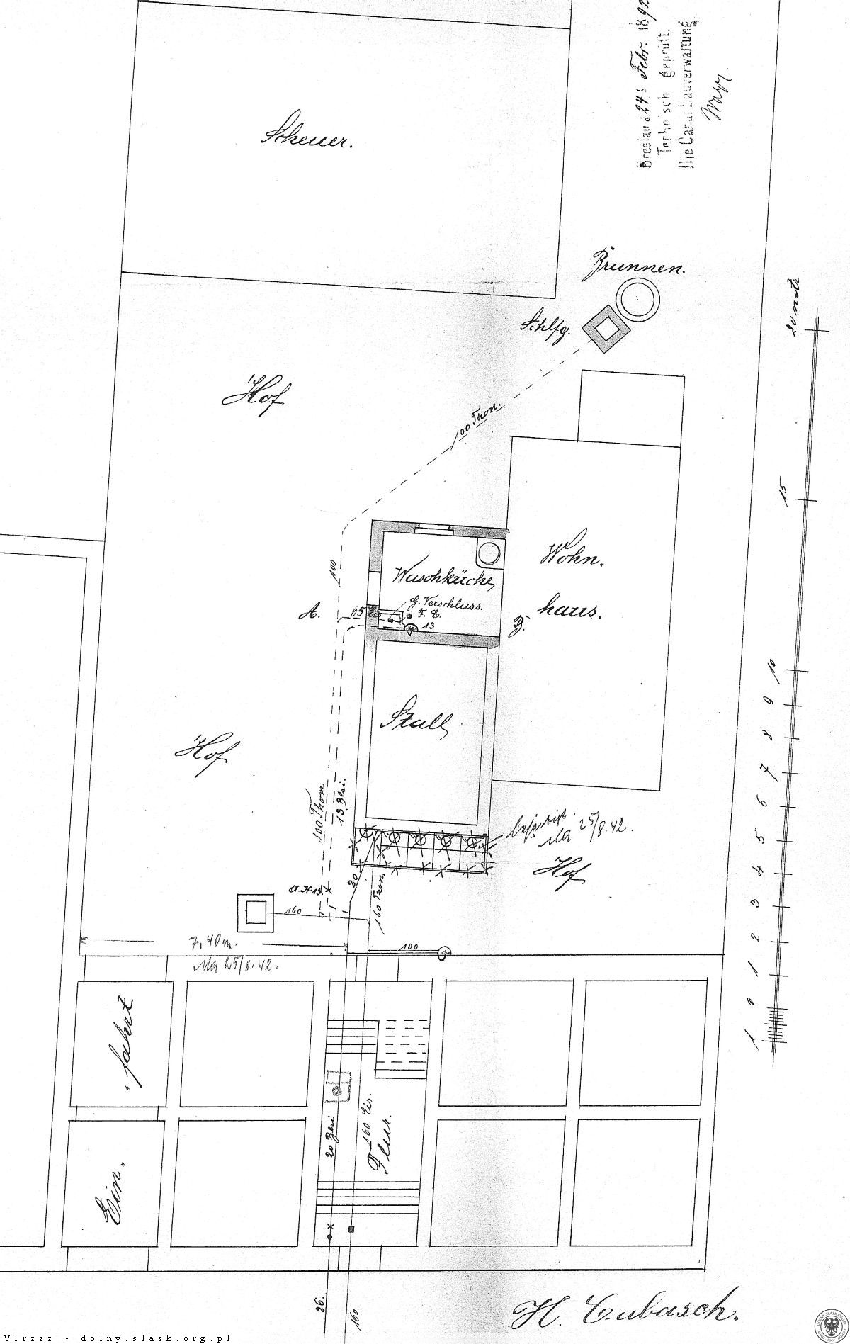
1892 , Plan sytuacyjny parceli Hubska 52/54 w związku z przyłączeniem terenu do sieci wod-kan. 1892 rok.

Skomentuj zdjęcie
Virzzz
Na stronie od 2008 luty
18 lat 2 miesiące 9 dni
Dodane: 13 września 2010, godz. 16:54:12
Źródło: zbiory prywatne
Rozmiar: 1200px x 1897px
2 pobrania
1363 odsłony
6 średnia ocen
Poprzednie i następne zdjęcia Virzzz
Obiekty widoczne na zdjęciu
Hubska Center
więcej zdjęć (38)
Architekt: Maciej Konopka
Dawniej: Lemax-hurt części samochodowych, Dom Książki
Kompleks biurowo-usługowy w którego skład oprócz biur wchodzi także Aparthotel Invite
Hubska 52
więcej zdjęć (2)
Hubska 54
więcej zdjęć (2)
ul. Hubska
więcej zdjęć (1489)
Dawniej: Huben Strasse